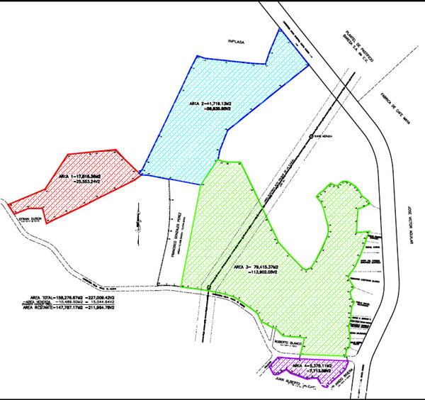
SE VENDE TERRENO EN AMARATECA - PLANO Y CON ACCESOS - AREA 20.7 MANZANAS - FRACCIONABLE EN AREAS DE 7.7 MZ, 25.5 MZ, 59.8 MZ Y 113,9 MZ / 0-Poligono-General
www.casa-futura.net
info@casa-futura.net - Cel 9985-3652
Home Next
0-Poligono-General

0-Poligono-General.jpg